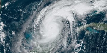
Hurricane Milton, a powerful Category 5 storm that has battered the southeastern U.S., is shaping up to be one of the most costly natural disasters in recent history. Analysts now estimate that the hurricane could cost insurance companies as much as $100 billion, depending on the extent of damage and claims filed in the coming weeks.
Milton made landfall earlier this week, bringing with it record-breaking winds, torrential rain, and widespread flooding. The hardest-hit areas include major metropolitan centers and coastal regions, which have been devastated by the storm’s ferocity. Emergency services are still assessing the damage, but initial reports suggest that entire neighborhoods have been submerged, homes destroyed, and infrastructure severely impacted.
Impact on Insurance Industry
Insurance experts have already begun warning of the potential financial toll the storm will take on the industry. Milton’s trajectory through densely populated areas and its lingering effects have raised concerns about the number of claims that will be filed for property damage, business interruption, and auto losses. The $100 billion estimate covers a range of damages, including homes, commercial properties, automobiles, and additional costs related to flooding and storm surge.
One of the major concerns is the flooding caused by Milton, as flood insurance policies in the U.S. are often separate from standard homeowner’s insurance. This could lead to a significant financial burden for both policyholders and insurance companies, especially in areas where flood insurance coverage is limited.
Economic Fallout
In addition to the massive insurance payouts, Hurricane Milton is expected to have far-reaching economic impacts, disrupting local economies and causing losses in sectors such as tourism, retail, and agriculture. With large-scale evacuations and the destruction of critical infrastructure, many businesses in the affected regions have been forced to shut down temporarily, and some may struggle to reopen.
The insurance industry, already grappling with rising costs from previous natural disasters, is likely to face increased scrutiny over how it manages payouts and prepares for future events. Climate change has brought about more frequent and severe weather events, and industry experts have warned that the current model for insuring against natural disasters may need significant reform to remain sustainable.
Government Assistance and Recovery Efforts
The U.S. government has declared a state of emergency in several states, unlocking federal funds to assist with the recovery efforts. FEMA is working closely with local authorities to provide immediate relief, including temporary housing, medical assistance, and rebuilding efforts.
However, the recovery process is expected to take months, if not years, as communities work to rebuild after the devastation. Insurance companies will play a critical role in helping individuals and businesses recover, but the sheer scale of the damage presents an enormous challenge.
As the full impact of Hurricane Milton becomes clearer, both insurers and policymakers will need to confront the growing risks posed by increasingly powerful storms and consider new ways to mitigate the financial and human costs of these disasters.






















